Rất nhiều bà bầu đã bị sảy thai trong 3 đầu do ăn phải 1 số loại rau củ quả không nên ăn. Vậy mang thai 3 tháng đầu không nên ăn quả gì, rau gì? Hãy cùng Bác sĩ Điệp tìm hiểu nhé !
1. Mang thai 3 tháng đầu không nên ăn quả gì, rau gì?
1.1. Mang thai 3 tháng đầu không nên ăn quả gì?
Ăn nhiều hoa quả rất tốt cho cả bà bầu và cả quá trình phát triển của thai nhi. Tuy nhiên trong 3 tháng đầu thai kỳ – khoảng thời gian có nguy cơ sảy thai cao, bà bầu không nên ăn các loại quả sau:
Dứa(thơm)
Trong dứa có chứa rất nhiều bromelain-chất có tác dụng làm mềm tử cung. Nếu ăn dứa, bà bầu có thể bị tiêu chảy, dị ứng, nguy hiểm hơn nữa là sảy thai do tử cung bị co thắt. Dứa cũng làm tăng các triệu chứng ốm nghén, gây mệt mỏi, khó chịu cho bà bầu. Vì vậy trong 3 tháng đầu tiên của thai kỳ bà bầu tuyệt đối không nên ăn dứa.
Qua 3 tháng đầu, nếu có cảm giác thèm ăn thì bà bầu có thể ăn dứa, nhưng không được ăn nhiều để tránh trường hợp tử cung co thắt gây sảy thai hoặc sinh non.

Dứa-loại quả không nên ăn trong 3 tháng đầu thai kỳ
Đu đủ xanh
Đu đủ xanh chính là loại quả đứng đầu trong danh sách “3 tháng đầu không nên ăn quả gì?” của các bà bầu. Nguyên nhân là do trong đu đủ xanh có chứa nhựa mủ, prostaglandin và oxytocin, có thể gây co thắt tử cung dẫn đến sảy thai.
Đã có một số trường hợp bà bầu bị sảy thai do ăn nộm đu đủ xanh hoặc ăn đu đủ chưa chín hẳn. Vì vậy, mặc dù trong đu đủ có chứa nhiều vitamin, có thể cải thiện tình trạng ốm nghén. Nhưng bà bầu cần tham khảo ý kiến của bác sĩ trước khi ăn để tránh trường hợp đáng tiếc có thể xảy ra.
Nhãn
Cùng với dứa và đu đủ xanh, nhãn là một trong số các loại quả bà bầu không nên ăn trong 3 tháng đầu thai kỳ. Ăn nhãn không chỉ gây nóng trong người, táo bón, mà còn gây đau bụng, ra máu, từ đó dẫn đến động thai sảy thai.
Nếu các bà bầu muốn ăn nhãn thì từ tháng thứ 4 của thai kỳ, sau khi đã được bác sĩ xác nhận cơ thể hoàn toàn khỏe mạnh, bà bầu có thể ăn nhãn nhưng với số lượng ít. Với các trường hợp chức năng gan kém, thường xuyên bị nóng trong người, táo bón hoặc sa tử cung thì cần hoàn toàn tránh xa loại quả này.
Me
Me có vị chua có thể giúp giảm bớt tình trạng nôn nghén trong quá trình mang thai. Tuy nhiên trong me có rất nhiều vitamin C sẽ làm giảm progesterone trong cơ thể bà bầu, gây ảnh hưởng xấu đến sự phát triển của thai nhi.
Nếu 3 tháng đầu thai kỳ bà bầu ăn nhiều me thì có thể dẫn đến sảy thai. Vì vậy để đảm bảo thai nhi phát triển khỏe mạnh và toàn diện, bà bầu cần đưa me vào danh sách “mang thai 3 tháng đầu không nên ăn quả gì”.
Dưa hấu
Nhiều bà bầu cho rằng dưa hấu có tính mát, nhiều vitamin, tốt cho sự phát triển của thai nhi. Mà không hề biết rằng ăn nhiều dưa hấu, đặc biệt là dưa hấu đã được ướp lạnh có thể khiến bà bầu dễ bị đau bụng, tiêu chảy, gây nên tình trạng mất nước, mệt mỏi và chán ăn.
Không những thế, hàm lượng đường trong dưa hấu rất cao, vì vậy nếu bà bầu ăn nhiều sẽ làm tăng lượng đường trong máu và gây nên bệnh tiểu đường.
Mận
Mận có chứa rất nhiều vitamin A, kali, sắt, chất béo, protein, có thể giúp cơ thể giải độc. Tuy nhiên mận cũng có tính nóng, có thể gây nổi mụn, nóng trong người cho bà bầu. Vì vậy trong 3 tháng đầu tiên của thai kỳ, bà bầu nên kiêng không ăn mận, các tháng tiếp theo thì có thể ăn nhưng không nên ăn nhiều.

Ăn mận sẽ khiến bà bầu nổi mụn, nóng trong người
Đào
Cũng giống như mận và nhãn, đào có tính nóng, không tốt cho cơ thể bà bầu 3 tháng đầu tiên. Lông ở phía ngoài vỏ còn có thể gây rát cổ, ngứa cổ. Ăn nhiều đào có thể khiến tử cung co thắt, gây xuất huyết, động thai. Vì vậy trong 3 tháng đầu, bà bầu không nên ăn đào.
Trong suốt các tháng còn lại của thai kỳ, nếu ăn cũng cần gọt vỏ và ăn với số lượng ít. Tốt nhất bà bầu nên tham khảo ý kiến của bác sĩ để đảm bảo sức khỏe cho cả mẹ và thai nhi.
1.2. Mang thai 3 tháng đầu không nên ăn rau gì?
Cùng với danh sách “3 tháng đầu không nên ăn quả gì” thì bà bầu cũng cần tìm hiểu các loại rau không nên ăn để tránh sảy thai ngoài ý muốn và để thai nhi phát triển khỏe mạnh hơn.
Bà bầu không nên ăn các loại rau sau:
Rau ngót
Trong rau ngót có chứa hàm lượng papaverin khá cao, vì vậy nếu ăn rau ngót bà bầu có thể bị tiêu chảy. Hơn thế nữa, rau ngót sẽ làm tử cung của bà bầu sẽ bị co thắt liên tục, gây nên tình trạng sảy thai.
Khoa học cũng chứng minh, nếu ăn trên 30 gram lá rau ngót tươi thì bà bầu có tiền sử bị sảy thai, đẻ non sẽ dễ bị sảy thai. Bà bầu dù có cơ thể khỏe mạnh nhưng nếu ăn nhiều rau ngót cũng sẽ có nguy cơ bị sảy thai. Vì vậy trong 3 tháng đầu bà bầu tuyệt đối không ăn rau ngót, các tháng tiếp theo cần tham khảo ý kiến bác sĩ trước khi ăn.
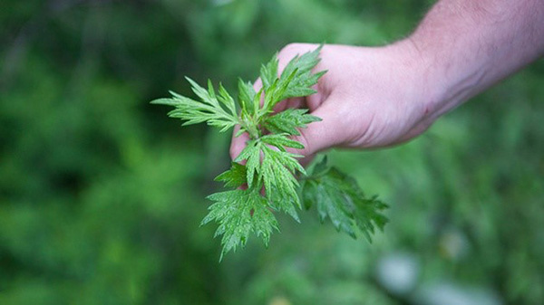
Ngải cứu
Ăn nhiều ngải cứu sẽ giúp giảm các cơn đau, giúp tuần hoàn máu tốt hơn, thế nhưng nó cũng khiến tử cung co thắt nhiều hơn. Đối với bà bầu, đặc biệt là bà bầu đang trong 3 tháng đầu thì ngải cứu chỉ làm tăng nguy cơ sảy thai, sinh non chứ không mang lại nhiều lợi ích.
Ngải cứu được sử dụng trong 1 số bài thuốc dành cho người bị động thai. Tuy nhiên nó chỉ có tác dụng trong 1 số trường hợp và khi được kết hợp với các vị thuốc khác. Vì vậy bà bầu không nên tự ý ăn ngải cứu mà chưa được sự đồng ý của bác sĩ có chuyên môn.

Ngải cứu giúp giảm đau nhưng cũng tăng nguy cơ sảy thai
Súp lơ
Súp lơ có nhiều vitamin C, rất tốt cho sự phát triển của thai nhi. Thế nhưng nếu như bà bầu đã ăn các loại quả có nhiều vitamin C lại ăn súp lơ thì lượng vitamin C trong cơ thể sẽ bị dư thừa, khiến nguy cơ sảy thai tăng cao.
Súp lơ cũng có thuốc trừ sâu, vì vậy trong 3 tháng đầu thai kỳ bà bầu không nên ăn súp lơ. Từ tháng thứ 4, bà bầu có thể ăn 1-2 bữa trong 1 tháng.
2.Những điều cần lưu ý khi ăn rau, củ, quả khi mang thai 3 tháng đầu.
Ngoài các loại quả nằm trong danh sách “3 tháng đầu không nên ăn quả gì” và 1 số loại rau không nên ăn được nêu bên trên, thì bà bầu nên lưu ý một số điều sau khi ăn rau, củ, quả:
-Không ăn các loại quả khi chưa được gọt vỏ hoặc rửa kỹ
Bên ngoài hoa quả chứa rất nhiều vi khuẩn, bụi bẩn và hóa chất bảo vệ thực vật. Vì vậy trong 3 tháng đầu và cả quá trình mang thai, bà bầu nên ăn hoa quả đã được gọt vỏ. Nếu loại quả đó không thể gọt vỏ thì cần rửa kỹ, ngâm nước muối loãng để tránh các chất gây hại cho cơ thể và thai nhi.
-Không ăn hoa quả sau bữa ăn
Ăn hoa quả ngay sau bữa ăn có thể gây đầy hơi, táo bón cho bà bầu. Vì vậy tốt nhất bà bầu nên ăn hoa quả trước bữa ăn.
-Cân bằng giữa rau xanh và hoa quả.
Hoa quả chứa rất nhiều loại vitamin, các loại rau cũng vậy. Việc hấp thụ quá nhiều vitamin cũng không tốt cho sự phát triển của thai nhi và cơ thể bà bầu. Vì vậy bà bầu cần cân bằng giữa việc ăn hoa quả và rau xanh, không nên ăn quá nhiều hoa quả.

Không nên ăn quá nhiều hoa quả khi mang thai 3 tháng đầu
-Không nên ăn rau quả để trong tủ lạnh lâu ngày
Rau quả để trong tủ lạnh lâu ngày không chỉ không tươi mà còn có thể bị biến chất. Vì vậy tốt nhất bà bầu nên ăn rau tươi, không bị héo úa, hoa quả không bị ướp lạnh để có một cơ thể khỏe mạnh và giúp thai nhi phát triển tốt hơn.
3 tháng đầu thai kỳ là khoảng thời gian vô cùng quan trọng, nguy cơ sảy thai trong thời gian này là cao nhất. Vì vậy bà bầu nên tìm hiểu và có cho mình 1 danh sách “3 tháng đầu không nên ăn quả gì? rau gì?” dán ở nơi dễ thấy như cửa tủ lạnh, để bé yêu chào đời một cách khỏe mạnh nhất nhé!
